Im Falle einer DSL-Störung können Sie die Problemlösung deutlich beschleunigen, wenn Sie direkt bei der ersten Kontaktaufnahme Screenshots von bestimmten Routereinstellungen mitschicken.

Wir zeigen Ihnen anhand der AVM FRITZ!Box exemplarisch, welche Bilder wir von den relevanten Einstellungen benötigen. Bitte achten Sie darauf, dass Sie die erweiterte Ansicht Ihrer FRITZ!Box aktiviert haben. Die entsprechende Einstellung finden Sie oben rechts im Menü.

Bei Telekom-Routern wie den Modellen Smart 4 und dem Smart 4 Plus finden Sie vergleichbare Informationen im Hauptmenü unter EasySupport → System-Informationen → System-Meldungen.

Bei anderen Routern brauchen wir möglichst gleichwertige Informationen. Auf jeden Fall sollten Sie uns einen Screenshot Ihrer DSL-Einstellungen schicken.

Protokolldaten zur Internetverbindung

Diese finden Sie unter System → Ereignisse. Wählen Sie im Ausklappmenü bitte „Internetverbindung“. Stellen Sie sicher, dass „Alle“ ausgewählt ist.

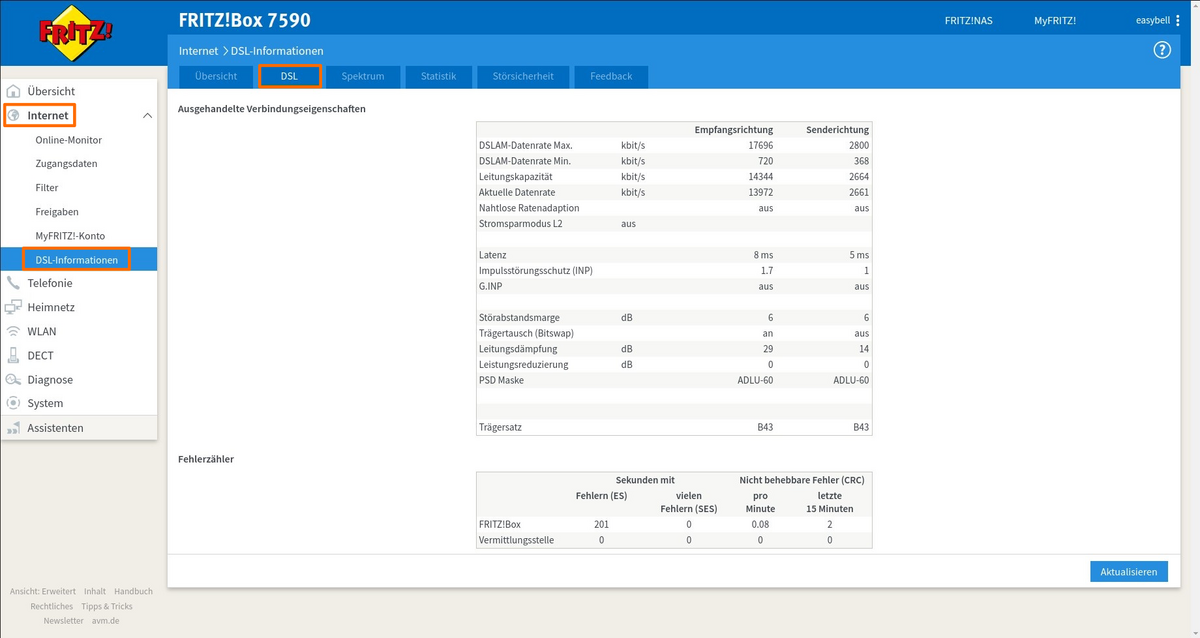
DSL-Informationen

Diese finden Sie unter Internet → DSL-Informationen. Wählen Sie dort bitte den Reiter „DSL“.

 

DSL-Statistik

Diese finden Sie unter Internet → DSL-Informationen. Wählen Sie dort bitte den Reiter „Statistik“.

Ihre DSL-Einstellungen

Diese finden Sie unter Internet → Zugangsdaten. Wählen Sie dort bitte den Reiter „Internetzugang“.